2016/10/11 Wレックと鮫とサンゴ礁
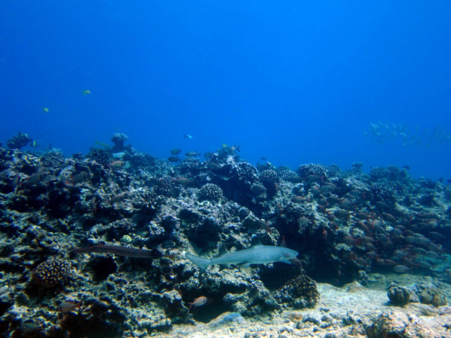
快晴の今日は、昨日から二日目のアヤさん、帰省中のチーム尾上さん、大阪からお越しのカナさん&レイさんを南のボートダイビングにご案内。先ずは2艘の沈船”YO257&St,Pedro”のWレックで沈船三昧!そして2本目はNautirus Reef で珊瑚に住み着く魚達と鮫を見て頂きながら、ハワイスキューバダイビングを楽しんで頂きました。
快晴の今日は、昨日から二日目のアヤさん、帰省中のチーム尾上さん、大阪からお越しのカナさん&レイさんを南のボートダイビングにご案内。先ずは2艘の沈船”YO257&St,Pedro”のWレックで沈船三昧!そして2本目はNautirus Reef で珊瑚に住み着く魚達と鮫を見て頂きながら、ハワイスキューバダイビングを楽しんで頂きました。